
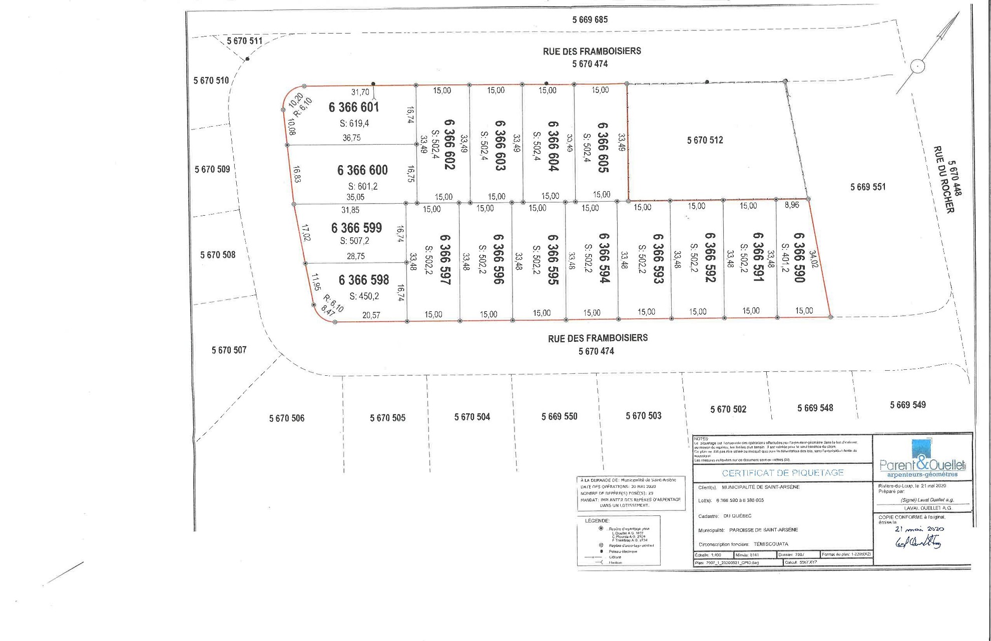
Plusieurs magnifiques terrains pour développements résidentiels.
Possibilité de terrains pour résidences jumelées ou terrains pour résidences détachées.
Plan disponible.
Pour obtenir plus d’informations, nous vous invitons à communiquer directement auprès du promoteur immobilier, Proprio Direct
INFORMATIONS
Monsieur Jean-François Dumais, Directeur général, Municipalité de Saint-Arsène
Téléphone : 418-867-2205 poste 2
Jean-François Dumais, Directeur général
